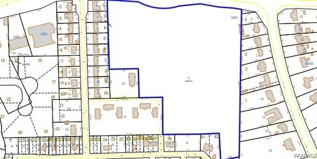
0 Highway 203, Elba, AL 36323 11?± Acres Inside City Limits | Residential or Development Opportunity Explore approximately 11 acres of wooded land located within the city limits of Elba, AL-offering a rare blend of seclusion and accessibility. This beautiful parcel sits just off the 4-lane bypass (Highway 203) with additional access from Harper Drive, making it both convenient and versatile. Tucked between two established residential neighborhoods, the property features a gentle slope and a small creek that winds through the land, attracting local wildlife and enhancing the peaceful, natural setting. Whether you're dreaming of a private homesite close to town or envisioning a small residential development, this tract offers great potential with multiple access points and utilities nearby. Don't miss this unique opportunity to invest in a prime location with room to grow.

Property Details of 0 Highway 203

Property Details

Exterior Features

Map Location

Listed by Andree Shearer of Executive Brokers Group

 "Based on information submitted to Wiregrass Multiple Listing Service as of February 14, 2026 10:41 AM EST . All data is deemed reliable but is not guaranteed accurate by the MLS. All information should be independently reviewed and verified for accuracy. IDX information is provided exclusively for consumers’ personal, noncommercial use and may not be used for any purpose other than to identify prospective properties consumers may be interested in purchasing."

Hi there! How can we help you?

Contact us using the form below or give us a call.

Send Us A Message:

I agree to receive marketing and customer service calls and text messages from RF Properties. To opt out, you can reply 'stop' at any time or click the unsubscribe link in the emails. Consent is not a condition of purchase. Msg/data rates may apply. Msg frequency varies. Privacy Policy.

Do not fill in this field:

This site is protected by reCAPTCHA and the Google Privacy Policy and Terms of Service apply.

Hi there! How can we help you?

Contact us using the form below or give us a call.

Send Us A Message:

Do not fill in this field:

This site is protected by reCAPTCHA and the Google Privacy Policy and Terms of Service apply.

Hi there! How can we help you?

Contact us using the form below or give us a call.

Send Us A Message:

Do not fill in this field:

This site is protected by reCAPTCHA and the Google Privacy Policy and Terms of Service apply.

Do not fill in this field:

This site is protected by reCAPTCHA and the Google Privacy Policy and Terms of Service apply.

Do not fill in this field:

This site is protected by reCAPTCHA and the Google Privacy Policy and Terms of Service apply.

Do not fill in this field:

This site is protected by reCAPTCHA and the Google Privacy Policy and Terms of Service apply.

$

Do not fill in this field:

This site is protected by reCAPTCHA and the Google Privacy Policy and Terms of Service apply.