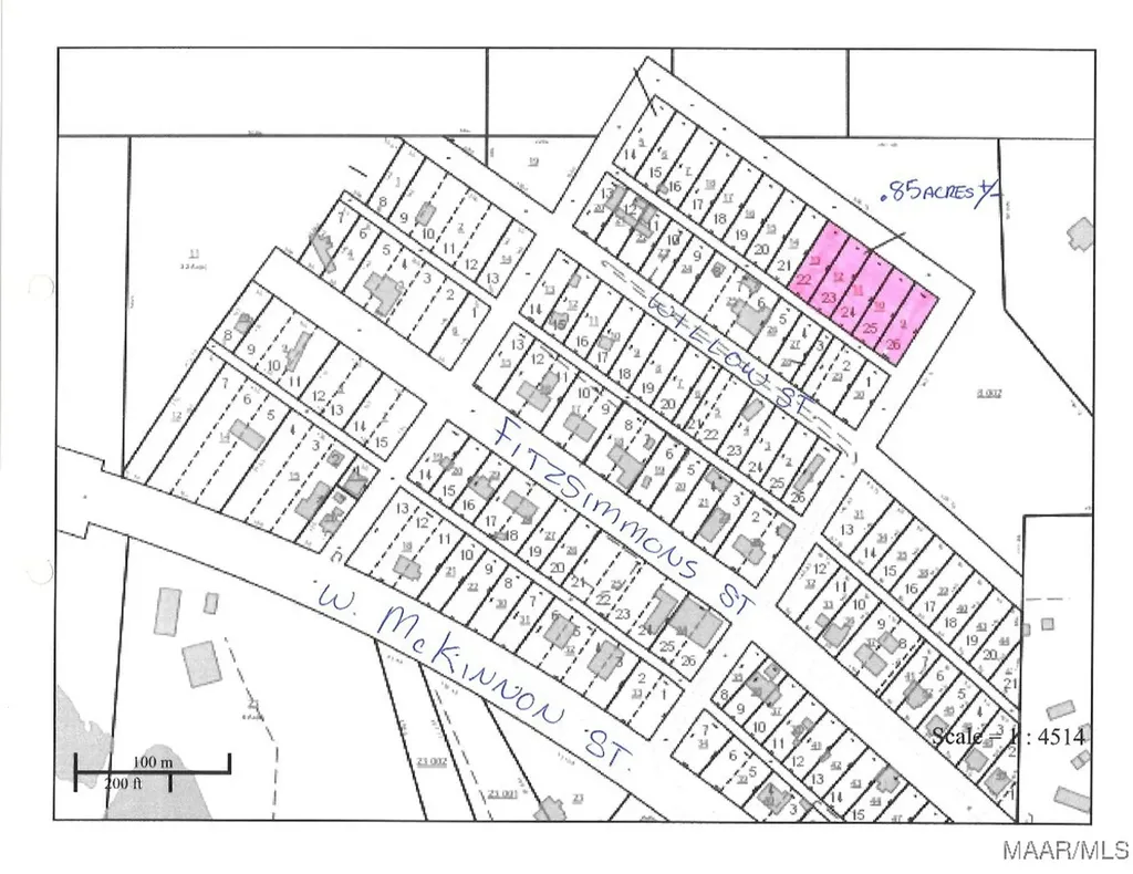
Utilities may be accessible from the street if buyers wish to have them ran (Alabama Power & Septic). 5 lots, but the health department requires 2.5 lots to build. NO mobile homes or travel trailers, but YES to modular homes. Need a total dimension of 125x150 to build a home. There are five parcels: 19-10-05-22-4-001-013.000, 19-10-05-22-4-001-012.000, 19-10-05-22-4-001-011.000, 19-10-05-22-4-001-010.000, & 19-10-05-22-4-001-009.000. Lot dimensions as well as acreage amount are of the five lots combined.

Property Details of 22 Franklin Street

Property Details

Exterior Features

Map Location

Listed by LINDA SIMMONS of TEAM LINDA SIMMONS REAL ESTATE

 "Based on information submitted to Wiregrass Multiple Listing Service as of November 14, 2025 2:41 PM EST . All data is deemed reliable but is not guaranteed accurate by the MLS. All information should be independently reviewed and verified for accuracy. IDX information is provided exclusively for consumers’ personal, noncommercial use and may not be used for any purpose other than to identify prospective properties consumers may be interested in purchasing."

Hi there! How can we help you?

Contact us using the form below or give us a call.

Send Us A Message:

I agree to receive marketing and customer service calls and text messages from RF Properties. To opt out, you can reply 'stop' at any time or click the unsubscribe link in the emails. Consent is not a condition of purchase. Msg/data rates may apply. Msg frequency varies. Privacy Policy.

Do not fill in this field:

This site is protected by reCAPTCHA and the Google Privacy Policy and Terms of Service apply.

Hi there! How can we help you?

Contact us using the form below or give us a call.

Send Us A Message:

Do not fill in this field:

This site is protected by reCAPTCHA and the Google Privacy Policy and Terms of Service apply.

Hi there! How can we help you?

Contact us using the form below or give us a call.

Send Us A Message:

Do not fill in this field:

This site is protected by reCAPTCHA and the Google Privacy Policy and Terms of Service apply.

Do not fill in this field:

This site is protected by reCAPTCHA and the Google Privacy Policy and Terms of Service apply.

Do not fill in this field:

This site is protected by reCAPTCHA and the Google Privacy Policy and Terms of Service apply.

Do not fill in this field:

This site is protected by reCAPTCHA and the Google Privacy Policy and Terms of Service apply.

$

Do not fill in this field:

This site is protected by reCAPTCHA and the Google Privacy Policy and Terms of Service apply.